
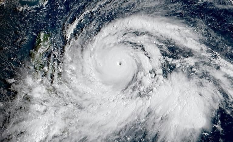
Topan tersebut menyapu bagian utara Filipina, memicu tanah longsor dan menyebabkan puluhan orang tewas. Para pekerja berhelm kuning bergegas ke tempat kejadian. Hujan lebat menyebabkan lereng curam lalu runtuh dan sekarang para pencari panik mencari orang
